ひとたび降り出すと程度を超えて降る雨。
しかし、先日までのカラカラの暑い時期、野菜のそばに行くのは水やりと収穫のためだけになってしまいがちだった。
しかし、そんな天気も芋虫君たちには関係なかったようだ。
最近ちょっと、芋虫による被害が多くなってきたようなので、先日全ての野菜を見回ってみた。
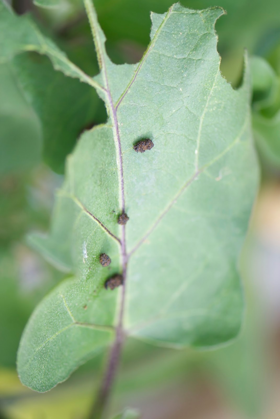
まずは、最近順調に収穫しているオクラ。
かなり葉っぱが食べられている。
ぱっと見てもどこに芋虫が居るかよく分かりにくいのだが、
よく見ると多くの芋虫を発見できる。当然見つけた芋虫は殺処分となった。
![]() |
| 背中に黄色い筋が3本みえる。 |
![]() |
| 大きくなると背中の筋の間の黒い模様がはっきりしてくる。 どうやらハスモンヨトウの幼虫のようだ。 |
こちらはその卵だろうか?カメムシの卵のようにも見えるが。
オクラの葉の裏に付いていたこんなに多くの卵が孵化したら、芋虫でもカメムシでも被害は甚大だ。すぐ葉っぱを切り取り擦処分した。
このきれいな毛虫はフタトガリコヤガの幼虫だろうか?
![]() |
| ハスモンヨトウの幼虫より小さめだ |
一方よく見ると葉っぱは食べられているだけでなく、所々でこんな風に白い糸で葉が丸められている。
この葉っぱをちぎって開いてみると、中にはサナギがあった。
![]() |
| これはハスモンヨトウのサナギだろう。 サナギになるまでにはどれくらいの葉っぱを食べたのだろうか? |
続いて、変わり種ブロッコリー(ロマネスコ)を見てみた。これらの苗はかなりの葉が虫に食べられ、収穫出来るまで育つか危うくなっている。
よく見ると予想通り芋虫がいっぱいだ。
次の2枚はオクラに居たのと同じハスモンヨトウのようだ。
下の写真はモンシロチョウの幼虫のように見える
![]() |
| 図鑑で見るとアオバハゴロモの幼虫? |
また、ブロッコリーの葉にはきれいな模様のカメムシらしきものもいた。
![]() |
| 調べてみると“ナガメ”というカメムシのようだ。 |
![]() |
| アブラナ科の菜に付くカメムシということで菜ガメと名付けられたらしい。 |
続いて、ゴーヤを見てみた。
こちらはまだ被害は少ないが、所々で芋虫を見つけることは出来る。
![]() |
| 花も食べるのだ |
更に、ナスの方も覗いてみた。
まず、かじられた葉の裏に芋虫が居るかと見てみたらもぬけの殻。糞だけが目に付いた。
しかし、すぐ犯人は見つかった。
一番柔らかい新芽のところに隠れたいた。やはりハスモンヨトウの幼虫のようだ。
さらに、昨日雨が一時上がった時、アスパラをみてみると、ここにも数匹居るではないか。芋虫が食べる葉っぱはあるのかな?
そして、我が家の畑で芋虫が最もたくさん居たのは里芋だ。
葉っぱによっては小さな芋虫がいっぱいだ。何十匹居るか数えきれない。
小さいうちは種類が分かりにくいが
![]() |
| 生まれて間もない芋虫は集団で見つかる。 小さいうちは種類を判明しづらい。 |
少し大きくなると正真正銘ハスモンヨトウの幼虫だということが分かる。
彼らは葉の表に多いが、葉の裏や茎にも居る。
![]() |
![]() |
| 茎を這うハスモンヨトウ.茎を食べているのではなくて移動しているだけなのかもしれない。 |
こちらも里芋の茎にいた芋虫。ハスモンヨトウとは違う種類にみえる。
色が黒い。
セスジスズメガの若齢幼虫だろうか?
![]() |
| 色はセスジスズメガに似ているがお尻に突起がない。 |
この春、同じ里芋で退治したセスジスズメガは下の写真のような大きさになっていた。
写真では分かりにくいがお尻に大きな突起が1本ある。
しかしその頃見つけた小さな個体にもお尻の突起があった。
![]() |
| 春見つけた個体には小さなものにもお尻に突起がある この突起はスズメガの幼虫に共通らしい |
一方、この時期の里芋には別の種類のスズメガの幼虫と思われるものもたくさん居た。
![]() |
| 緑色をした幼虫。まだ小さめの個体だろう。お尻の突起はある。 |
このタイプの芋虫は下の写真の様に里芋の茎の付け根に潜り込んでいるものが多かった。
![]() |
| こんなところで天敵に見つからないように身を潜めているのだろう |
大きくなると茶色味を帯びてくるようだ。
![]() |
| 根元にいたが下に落として写真撮影。この個体は8cmはあったと思う。 |
まだ黄緑色の少し大きめの個体を地面に落としてみると下の写真のような感じ。
上の写真の芋虫と色は違うが模様は同じだ。同じ種類で間違いなさそうだ。
![]() |
| この芋虫はスズメガの幼虫だろうが、種類は分からない。 |
この幼虫、斑点の数などはセスジスズメガと同じだが、やはり、違うスズメガの幼虫のようだ。
どちらにせよ、我が家の菜園、真夏の太陽の下では芋虫たちのための楽園になってしまったようだ。
雨も降った。そのうち朝夕は少し涼しくなってくるだろう。
そしたら、優秀な菜園警備隊の出番だ。
芋虫君たち、覚悟しておけよ!




























